mittelalterarchaeologie.de (jpg) Fenster schließen
Rainer Atzbach, Die mittelalterlichen Funde und Befunde der Ausgrabung Hannover-Bohlendamm
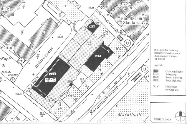
Abb. 5: Die Lage der Grabung im modernen Kataster